My citrus "orchard" has been decidedly lacklustre since this photo back in March.
The dwarf Meyer lemon has made a few attempts since then at popping out a flower - but I kept removing it since I thought the plant's energy would be best spent growing sturdier instead of trying to make a lemon. Eventually I decided to let nature take its course and look at it now..
It's covered in little buds! There are far too many for the little tree to bear but I'm tempted to leave it alone and see what happens.
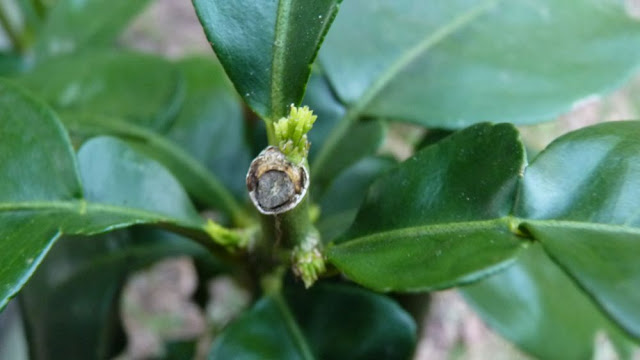
In other news, I've spotted this new growth on the tahitian lime tree. Okay it's microscopic - but hey, it's growth and that's a win in my books.
Here are some new shoots on the dwarf red grapefruit - the first sign of life for months and months.
The bougainvillea is looking pretty good.
Flowers and chickens - I'm a photographic marvel.
Yah, the pink crepe myrtle ain't looking so great. I'm hoping it's just deciduous and not dead.
But there are tomatoes forming... I call this one "Tomato in Captivity."
And gerberas blooming... (and chickens photobombing..)
So even though it will surely stay chilly until Ekka time, it seems like Spring is just around the corner here in Brisbane.



Just to let you know the crepe myrtle is definitely deciduous. My three all look dead too.So relax it's not you! My chooks love to hang around me whenever I'm up to stuff in the garden too, makes it so easy to photograph kids and chooks together. melx
ReplyDeleteYou have a nice garden there! I am thinking of planting a lemon tree also but I don;t know exactly if it will grow in my backyard...
ReplyDeleteThose flowers of yours are gorgeous especially the bougainvillea. I can't wait to see all of your plants grow and produce some veggies.
ReplyDeleteWow! I can foresee good harvests in your garden in the near future. Just keep on planting vegetables and flowers,however, don't forget to watch out also for insect pests. Well, one thing to prevent it is to plant companion plants.
ReplyDelete